
据珠海交警消息,1月11日起,珠海大道主线部分出入口交通组织实施调整。珠海大道(南屏段)主线北侧出入口交通组织将优化调整,此次调整结合珠海隧道通车后的交通管控要求,旨在更好服务沿线地块出行。具体调整如下:
一、在隧道接地点处新增一处水岸二路出口;
二、将原屏西十路出口调整为入口匝道。

珠海大道东往西出入口分布(现状)▲

珠海大道东往西出入口分布(调整后)▲

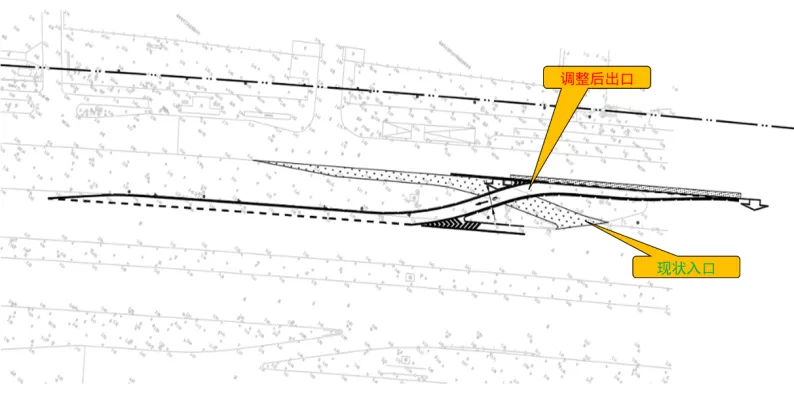
屏西十路匝道改造平面图▲
在原屏西十路匝道位置将现状入口调整为出口匝道,施工期间需将现状入口进行封闭,计划于2026年1月11日开始实施,因此提醒广大司机交通组织将有所变化,变化如下:
一、建议前往南屏科技园、华发水岸、屏西十路(广昌隧道)等方向的车流提前从屏西六路出口驶出进入辅道;

行驶路径建议示意图▲
二、若去往华发水岸的车辆错过屏西六路出口,可选择临时出口进入水岸二路,该出口目前平面线型较差,且与去往珠海大桥辅道车流有所交织,司机务必减速慢行,注意安全。

珠海交警提醒,施工期间,行经施工区域及周边道路时,请务必减速慢行,密切留意临时交通标志指示。建议广大司机尽量提前选择屏西六路出口进入北侧辅道。切勿随意变道或逆行,避免引发事故加剧拥堵。
凤凰网广东发自珠海